三鷹市牟礼6丁目 売地 全2区画 の過去掲載物件情報 現況の確認はお気軽にお問い合わせください。
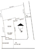
前面道路6m以上は確保しているので車の出し入れもラクラクです。こちらの土地面積は132.06㎡でございます。施工業者の制約を受けないので、自分で1から間取りを考えられる建築条件無し。土地購入をお考えの方にイチオシの売地がこちらです。京王井の頭線三鷹台周辺なので、電車をよく使う方にもおすすめです。
物件情報
周辺施設
三鷹市牟礼6丁目 売地 全2区画 の物件概要
【売地】| 所在地 | 東京都三鷹市牟礼6丁目 | ||
|---|---|---|---|
| 交通 | |||
| 価格 | - | 総区画数 | - |
| 土地面積 | - | 開発面積 | - |
| 坪数 | - | 坪単価 | - |
| 種別 | 売地 | 地目/地勢 | 宅地 /- |
| 備考 | 売地をお探しの方にぴったりの土地がこちらです。こちらの土地面積は132.06㎡でございます。建築条件なしなので、好きな業者や間取りを自分で選ぶことができます。こちらの土地は前面道路6m以上です。不動産探しで「不安なこと」や「気になること」はございませんか。不動産のプロである当社スタッフが、お客様の疑問を解消いたします。ぜひお気軽にお問い合わせください。 | ||
| 取扱会社 |
|
||
※地図上に表示される物件の位置は付近住所に所在することを表すものであり、実際の物件所在地とは異なる場合がございます。










