三鷹市井の頭2丁目 売地 全2区画
こちらは間取りや建築時期などの建築条件に指定がありません。駅から徒歩7分圏内に立地しています。こちらの売地は、土地の購入を検討されている方にイチオシとなっております。こちらの土地は前面道路6m以上です。三鷹市エリアでの不動産探しなら、情報量豊富な当社にぜひお任せください。住環境の充実している、お薦めの京王井の頭線三鷹台周辺の情報もご案内しております。
物件情報
周辺施設
三鷹市井の頭2丁目 売地 全2区画 の物件概要
【売地】| 所在地 | 東京都三鷹市井の頭2丁目 | ||
|---|---|---|---|
| 交通 | |||
| 価格 | 7,200万円 | 総区画数 | - |
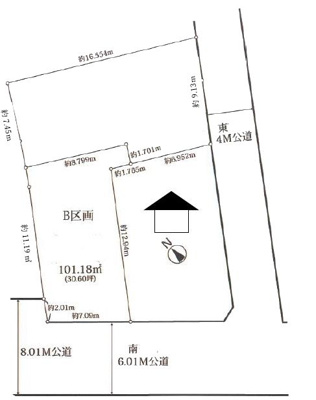
| 土地面積 | 101.18㎡ | 開発面積 | - |
| 坪数 | 30.6坪 | 坪単価 | 235.29万円 |
| 種別 | 売地 | 地目/地勢 | 宅地 /- |
| 備考 | 歩いて361mの場所に、栗原ストアがあります。土地購入をお考えの方にイチオシの売地がこちらです。自分の好みの建物を建てるという点では、建築条件のない土地がおすすめです。こちらの土地面積は101.18㎡でございます。良い住環境が揃い、ニーズが高い三鷹市エリアの土地探しはぜひ当社にお任せください。お客様からのご連絡をスタッフ一同お待ちしております。 | ||
| 取扱会社 |
|
||
※地図上に表示される物件の位置は付近住所に所在することを表すものであり、実際の物件所在地とは異なる場合がございます。
三鷹市井の頭2丁目 売地 全2区画の販売区画情報










